Kursy walut NBP: USD 3,98 | EUR 4,32 | CHF 4,53 |

Jesteśmy członkiem:           

Wyszukiwarka
Notes
Zgłoś ofertę
Kalkulator
zgłoś ofertę
Mieszkania
Domy
Działki
Lokale
Obiekty
Szczegóły oferty
Rodzaj oferty
działka budowlana ( sprzedaż )
Numer oferty
437515
Miejscowość
BRZOZOWO
Cena
590 000 PLN kalkulator
Cena za mkw
21,61 PLN mkw
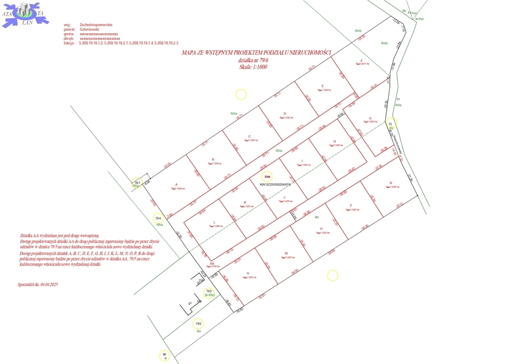
Powierzchnia
27300.00 m2
Droga dojazdowa
utwardzona
Opis
Sprzedam grunt o pow blisko 3ha z możliwością podziału na mniejsze. Działka położona w miejscowości Brzozowo pomiędzy Goleniowem i Wolinem. Działka sucha, równa.
Cena 21zł za metr kw. do negocjacji

W sąsiedztwie nowa zabudowa.

Idealna propozycja pod inwestycję. Idealna pod fotowoltaikę

Dodatkowe informacje: media - prąd

Kontakt do agenta

Atalanta Nieruchomości
Marii Konopnickiej 32
71-132 Szczecin
tel.: 914875042
email: info@atalanta.szczecin.pl
fax: 914875031

Wyślij zapytanie

Imię i Nazwisko
Telefon
E-mail
Treść zapytania

Wyrażam zgodę na przetwarzanie moich danych osobowych przez firmę dla celów związanych z działalnością pośrednictwa w obrocie nieruchomościami, jednocześnie potwierdzam, iż zostałem poinformowany o tym, iż będę posiadać dostęp do treści swoich danych do ich edycji lub usunięcia.

Wyślij ofertę

E-mail
© 2026 Atalanta Nieruchomości. Wszystkie prawa zastrzeżone.