Kursy walut NBP: USD 3,98 | EUR 4,32 | CHF 4,53 |

Jesteśmy członkiem:           

Wyszukiwarka
Notes
Zgłoś ofertę
Kalkulator
zgłoś ofertę
Mieszkania
Domy
Działki
Lokale
Obiekty
Szczegóły oferty
Rodzaj oferty
działka budowlana ( sprzedaż )
Numer oferty
435599
Miejscowość
RZĘDZINY
Cena
184 900 PLN kalkulator
Cena za mkw
167,79 PLN mkw
Powierzchnia
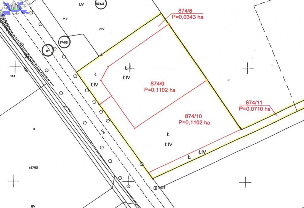
1102.00 m2
Droga dojazdowa
asfaltowa
Opis
Planujesz budowę w najbliższym czasie?
Szukasz działki gotowej do zabudowy?
Dla siebie lub inwestycyjnie? A może łącząc obydwa cele?
To jest oferta dla Ciebie!

Na sprzedaż działka o powierzchni 1102 m2.
Dostępne w sprzedaży są 2 działki - każda po 1102 m2.
Dla działki wydano Warunki Zabudowy o nastepujących parametrach
wskaźnik zabudowy do 8,6% powierzchni działki,powierzchnia biologicznie czynna min. 50%,szerokość elewacji frontowej 12,8 - 19,2 m,dach stromy 2-spadowy,wysokość budynku do 8,5 m (parter + poddasze użytkowe spokojnie się zmieszczą),w dachu możliwość realizacji lukarn lub facjat o dowolnej geometrii.
Warunki zabudowy pozwalają na budowę domu jednorodzinnych na działce 3257 m2.


Obecnie istnieje możliwość nabycia działki w całości.
Po faktycznym podziale działki, będzie możliwość nabycia jednej z 2 działek.


Lokalizacja
Rzędziny, gmina Dobra (Szczecińska), powiat policki,rodzaj gruntu łąki trwałe,
W pobliżu
lasy, łąki, tereny zielone,jezioro Świdwie 3 kmjezioro Stolsko 4 kmSzkoła podstawowa 750 m2Sklepy do 1 km.
OdległościSzczecin (centrum) 20 km (30 min.),Police 30 km (30 min.)Pasewalk (Niemcy) 33 km (35 min.)do najbliższej szkoły 750 m (Szkoła Podstawowa w Rzędzinach)


Oferta tylko w naszym biurze! nie szukaj dalej!
Zapraszamy na prezentację.


Dodatkowe informacje: media - prąd, media - gaz, media - woda

Kontakt do agenta

Atalanta Nieruchomości
Marii Konopnickiej 32
71-132 Szczecin
tel.: 914875042
email: info@atalanta.szczecin.pl
fax: 914875031

Wyślij zapytanie

Imię i Nazwisko
Telefon
E-mail
Treść zapytania

Wyrażam zgodę na przetwarzanie moich danych osobowych przez firmę dla celów związanych z działalnością pośrednictwa w obrocie nieruchomościami, jednocześnie potwierdzam, iż zostałem poinformowany o tym, iż będę posiadać dostęp do treści swoich danych do ich edycji lub usunięcia.

Wyślij ofertę

E-mail
© 2026 Atalanta Nieruchomości. Wszystkie prawa zastrzeżone.