Kursy walut NBP: USD 3,98 | EUR 4,32 | CHF 4,53 |

Jesteśmy członkiem:           

Wyszukiwarka
Notes
Zgłoś ofertę
Kalkulator
zgłoś ofertę
Mieszkania
Domy
Działki
Lokale
Obiekty
Szczegóły oferty
Rodzaj oferty
działka rolna ( sprzedaż )
Numer oferty
398107
Miejscowość
KRZEPOCIN
Cena
355 374 PLN kalkulator
Cena za mkw
18 PLN mkw
Powierzchnia
19743.00 m2
Droga dojazdowa
asfaltowa
Opis
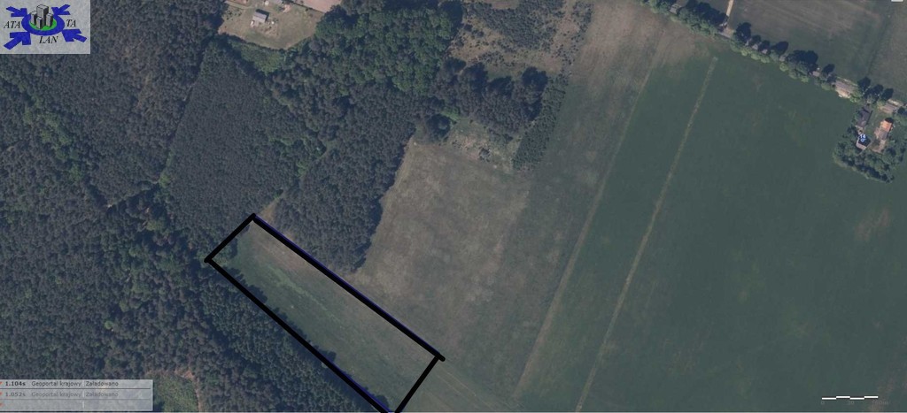
Na sprzedaż malowniczo położona działka rolna z trzech stron granicząca z lasem.
Działka znajduje się we wsi Krzepocin w gminie Świerzno.
Odległości Gryfice - 15 km Kamień Pomorski - 15 km Dziwnów - 19 km Trzebiatów 25 km
Działka ma powierzchnię 19.743 m2 (1,9743 ha)
Symbole użytków RIVb - 2.922 m2 RV - 10.340 m2 ŁV - 4.091 m2 PsV - 2.390 m2
Uzbrojenie prąd w odległości ok. 280 m - 500 m (w zależności od strony)
Dojazd do działki można dojechać z trzech stron drogą asfaltową, ostatni odcinek, ok. 300 - 500 m (w zależności od tego z której strony dojeżdżamy) - droga leśna
Najbliższe zabudowania - ok. 280 m
To wyjątkowa oferta dla ludzi ceniących ciszę, spokój i kontakt z naturą.


Dodatkowe informacje: media - prąd, media - gaz, media - woda

Kontakt do agenta

Atalanta Nieruchomości
Marii Konopnickiej 32
71-132 Szczecin
tel.: 914875042
email: info@atalanta.szczecin.pl
fax: 914875031

Wyślij zapytanie

Imię i Nazwisko
Telefon
E-mail
Treść zapytania

Wyrażam zgodę na przetwarzanie moich danych osobowych przez firmę dla celów związanych z działalnością pośrednictwa w obrocie nieruchomościami, jednocześnie potwierdzam, iż zostałem poinformowany o tym, iż będę posiadać dostęp do treści swoich danych do ich edycji lub usunięcia.

Wyślij ofertę

E-mail
© 2025 Atalanta Nieruchomości. Wszystkie prawa zastrzeżone.