Kursy walut NBP: USD 3,98 | EUR 4,32 | CHF 4,53 |

Jesteśmy członkiem:           

Wyszukiwarka
Notes
Zgłoś ofertę
Kalkulator
zgłoś ofertę
Mieszkania
Domy
Działki
Lokale
Obiekty
Szczegóły oferty
Rodzaj oferty
działka budowlana ( sprzedaż )
Numer oferty
431995
Miejscowość
REDLINY
Cena
109 000 PLN kalkulator
Cena za mkw
104,61 PLN mkw
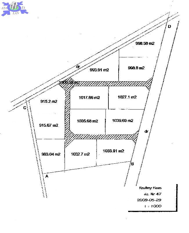
Powierzchnia
1042.00 m2
Droga dojazdowa
asfaltowa
Opis
Proponuję do sprzedaży atrakcyjną działkę z wydanymi warunkami zabudowy dla domu jednorodzinnego położoną w odległości ok 8 km od Pobierowa. Działka znajduje się w kompleksie 12 działek dostępne sieci to woda i prąd, z czego przyłącze wodne już jest a cena przyłącza prądu to opłaty przyłączeniowe. Dojazd do działki drogą asfaltową. Na działkach z tego kompleksu właściciele rozpoczynają już prace budowlane. Nieruchomość jest bardzo atrakcyjna ze względu na cenę i położenie. W bliskim sąsiedztwie stadnina koni oraz las co sprzyja aktywnej rekreacji a dojazd na plażę w Pobierowie samochodem to ok 15 minut lub rowerem malowniczą aleją wśród drzew. Okolica bardzo malownicza, powstaje sporo nowych domów, jest to idealna alternatywa dla osób ,które chcą korzystać z uroków moża jednocześnie uciekając od zgiełku miejscowości typowo turystycznych. Polecam serdecznie

Dodatkowe informacje: media - prąd, media - gaz, media - woda

Kontakt do agenta

Atalanta Nieruchomości
Marii Konopnickiej 32
71-132 Szczecin
tel.: 914875042
email: info@atalanta.szczecin.pl
fax: 914875031

Wyślij zapytanie

Imię i Nazwisko
Telefon
E-mail
Treść zapytania

Wyrażam zgodę na przetwarzanie moich danych osobowych przez firmę dla celów związanych z działalnością pośrednictwa w obrocie nieruchomościami, jednocześnie potwierdzam, iż zostałem poinformowany o tym, iż będę posiadać dostęp do treści swoich danych do ich edycji lub usunięcia.

Wyślij ofertę

E-mail
© 2026 Atalanta Nieruchomości. Wszystkie prawa zastrzeżone.